Terima Kasih Allah...
Assalamualaikum sahabat...
Kerja yang sangat membosankan bila sekian lama kita bekerja tetapi xde kluar berjalan ke mana2 pada hari minggu.nak keje pun takde mood..rasa nak resign jer sbb bosan kann???
ke korang tak rasa camtu??Ida sorang je ke rasa cmtu????erkkkkk..hihihihi ok fine..
jadi alkisahnya bos2 semua nk kena gi Semarang untuk tgk kerja2 CRCP yang our subcon pernah buat kt sana..diorang akan pergi selama 3 ari..1.7.13-3.7.13
so kesempatan ini jugaklah Ida buat keputusan untuk cuti..yihaaaaaa release tension katakan
(walhal xlah tension sgt pun kann)
so 29.6.3 Ida dah mula hunting place nk pergi..googleeeeee...jumpalah gmbar pulau redang yang sgt cantik..serius sgt cntikk..xtipuuuu...xcay tgk gmbr ni haaa...
ni pemandangan depan chalet kitorang..
skodeng aku ka haaa???
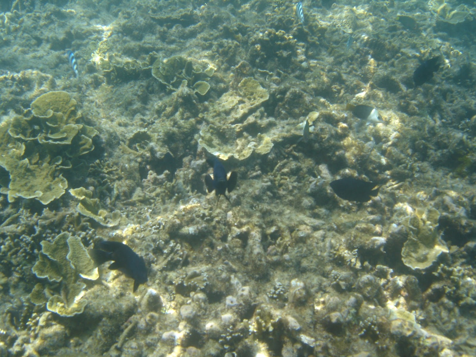
coral
coral
bagi makan cekodok..berduyun2 ikan dtg keliling...
Cantik kan????
ok tip untuk ke sana yer..biasanya pulau redang ni pakej 3D2N...
yang Ida pergi aritu...ambik pakej RM320/person kt Redang Lagoon..
pakejnya termasuk bot dari jeti ke pulau redang,3x snorkelling,makan sepanjang kt sana..dan BBQ..
chaletnya ok lh...sekadar untuk tidur saja..tapi sabun mandi pun xde ok..sila bawak siap2..
tapi yang bagusnya Redang Lagoon ni...Tukang masaknya ialah orang tempatan berbanding dengan chalet2 lain or hotel2 lain yang tukang masaknya "chayanunalif" dan pembantu2 tukang masaknya orang2 myanmar dan so on la..
dan pesisir Redang Lagoon adalah paling best untuk mandi manda memandangkan tiada coral yang bertaburan kt pasir.jika nak dibandingkan dengan resort lain.
kat depan chalet diorang penuh dgn coral yg agak sakit bila dipijak..tp kt depan redang lagoon,pasirnya sehalus susu tepung tanpa ada pencemaran atau gangguan dari coral.hihihi
ni ada sedikit no tel resort2 kt sana untuk kengkawan yang nak cuba pergi ke sana yer..
yang ni terus call resort diorang.xperlu call pakej2 pelancongan yang mana harga untuk pakej pelancongan mungkin berlainan sedikit dari harga yang dapat terus dari hotel.
Redang Bay- 09-6203200/01/02/07
Redang Lagoon- 09-6665020
Redang Kalong- 09-6974095
Laguna Redang Island Resot- 09- 6307888
Redang Reef Resort- 09-6226181
Redang Pelangi- 09-6242158/6261189
Coral Redang redang resort-09-6236200
kalau driving,boleh jer parking kat jeti.tapi kalau by flight,tanya resort berkenaan untuk dijemput kat airport.sebab sesetengah resort ada disediakan van persiaran untuk ambik customer diorang dari airport dan hantar ke jeti.
tak menyesal gi release tension kt sana..seyesly warga malaysia kena pegi kt sana.sbb warga asing mmg dh tau..cuma warga malaysia selalu melancong ke luar negara tapi xtahu ada tempat yg sgt cntik kt negara sendiri..
pergi yer..jangan tak pergi..
sekian saja.wassalam


Dia ada sediakan kain taula tak ?
ReplyDelete